IMG Investor Dnes Bloombergtv Bulgaria On Air Gol Tialoto Az-jenata Puls Teenproblem Automedia Imoti.net Rabota Az-deteto Chernomore Start Posoka Boec Megavselena
Новини от BG ON AIR
на живо гледай на живо
Последни новини
  • България
  • Свят
  • Крими
  • Спорт
  • Любопитно
  • Техно
  • Видео
  • Репортажи
  • Предавания
  • Програма
  • Още
    • Списание
    • Хороскоп
    • Галерия
Търси
  • Новините  ON AIR
    Новините ON AIR
  • Радио  ON AIR
    Радио ON AIR
  • Времето
    Времето
гледай на живо Гледай на живо 10:30 ВЛОГ БЛОК: Abnormal с Динко Же...
Новините  ON AIR Новините ON AIR Радио  ON AIR Радио ON AIR Времето Времето
Последни новини

Новини за фалшиви клипове

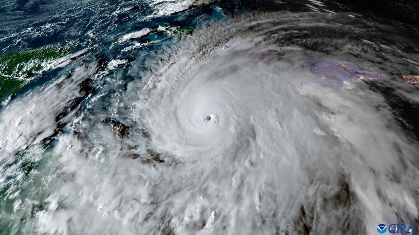
Фалшиви клипове за урагана "Мелиса" заляха интернет пространството

Фалшиви клипове за урагана "Мелиса" заляха интернет пространството

18:15 • 28.10.2025
  • Назад
  • 1
  • Напред
  • Последни
  • Четени

Кметът на "Люлин" предлага намаление на такса смет заради кризата с боклука

10:44 • 14.12.25

Социалните предприятия за хора с увреждания - как функционират

10:28 • 14.12.25

Цените на храните растат - зеленчуци и млечни продукти поскъпват

10:15 • 14.12.25

Мъжете по-рядко ходят на лекар, живеят нездравословно и умират по-рано

10:00 • 14.12.25

Коледно дефиле на кучета в Боливия (СНИМКИ)

09:44 • 14.12.25

Чили избира между Каст и Хара във втори тур на президентските избори

09:31 • 14.12.25
виж всички новини

Забрани за църковния празник на 13 декември

06:30 • 13.12.25

Късмет и щастие за три зодии на 13 декември

21:50 • 12.12.25

Четири зодии ще блестят през 2026 г.

14:54 • 12.12.25

Трансформацията идва за три зодии през 2026 г.

15:26 • 13.12.25

Рецепта за питка за Коледа

03:30 • 13.12.25

Рецепта за Бъдни вечер: Пълнени чушки с боб

20:16 • 13.12.25
  • dnes.bg - 4 новини

    • В Черно море: Украйна обвини Русия в удар с дрон срещу турски товарен кораб В Черно море: Украйна обвини Русия в удар с дрон срещу турски товарен кораб
    • Атанас Пеканов: На президента няма да му е лесно с новия служебен кабинет Атанас Пеканов: На президента няма да му е лесно с новия служебен кабинет
    • България е била приета в ООН преди точно 70 години България е била приета в ООН преди точно 70 години
    • Един ранен и един загинал при пожари през последното денонощие Един ранен и един загинал при пожари през последното денонощие
  • Puls.bg - 4 новини

    • Чрез микропластмасата се разпространяват опасни бактерии Чрез микропластмасата се разпространяват опасни бактерии
    • Клиника по неврохирургия в УМБАЛ „Св. Иван Рилски“ отпразнува своята 20-годишнина Клиника по неврохирургия в УМБАЛ „Св. Иван Рилски“ отпразнува своята 20-годишнина
    • Защо се будим малко преди алармата? Защо се будим малко преди алармата?
    • Наследствена ли е шизофренията? Наследствена ли е шизофренията?
  • Imoti.net-special - 5 новини

    • продава, Къща, 186 m2 Пловдив, Прослав, 275000 EUR продава, Къща, 186 m2 Пловдив, Прослав, 275000 EUR
    • продава, Двустаен апартамент, 63 m2 Бургас област, гр.Поморие, 125540 EUR продава, Двустаен апартамент, 63 m2 Бургас област, гр.Поморие, 125540 EUR
    • продава, Двустаен апартамент, 60 m2 Бургас област, гр.Поморие, 86217 EUR продава, Двустаен апартамент, 60 m2 Бургас област, гр.Поморие, 86217 EUR
    • продава, Двустаен апартамент, 57 m2 Бургас област, гр.Свети Влас, 112000 EUR продава, Двустаен апартамент, 57 m2 Бургас област, гр.Свети Влас, 112000 EUR
    • продава, Тристаен апартамент, 61 m2 Бургас област, к.к.Слънчев Бряг, 110000 EUR продава, Тристаен апартамент, 61 m2 Бургас област, к.к.Слънчев Бряг, 110000 EUR
  • megavselena.bg

    • На повърхността на луната на Юпитер – Европа, е забелязан гигантски черен „паяк“ На повърхността на луната на Юпитер – Европа, е забелязан гигантски черен „паяк“
    • Лунната почва може да съдържа следи от земната атмосфера Лунната почва може да съдържа следи от земната атмосфера
    • Антитела, проектирани от изкуствен интелект, ще бъдат тествани на хора Антитела, проектирани от изкуствен интелект, ще бъдат тествани на хора
    • Признаци за бъдеща катастрофа в Антарктида Признаци за бъдеща катастрофа в Антарктида
  • chernomore 5 новини

    • Мъж загина при пожар Мъж загина при пожар
    • Мирослав Терзиев е № 1 на ПСК „Черно море” за 2025 г. Мирослав Терзиев е № 1 на ПСК „Черно море” за 2025 г.
    • Ръст в цените на основни основни хранителни стоки Ръст в цените на основни основни хранителни стоки
    • Условията за туризъм в планините са добри Условията за туризъм в планините са добри
    • Слънчево, но студено време днес Слънчево, но студено време днес
  • investor.bg - 4 новини

    • Чили гласува на балотаж на президентски избори Чили гласува на балотаж на президентски избори
    • Очаква се световният пазар на AI чипове да нарасне до 565 млрд. долара през 2032 г. Очаква се световният пазар на AI чипове да нарасне до 565 млрд. долара през 2032 г.
    • Зеленски се опитва да пренапише мирния план на Тръмп Зеленски се опитва да пренапише мирния план на Тръмп
    • Влиянието на въглищата в Азия се засилва Влиянието на въглищата в Азия се засилва
Новини от BG ON AIR
Последвайте ни... Facebook Linkedin X Instagram Telegram
  • Контакти
  • За нас
  • Поверителност
  • Условия за ползване
  • Редакционни стандарти
  • Портфолио
  • Екип
  • PRESS
  • Медийни партньорства
  • Реклама
  • Радио
  • Списание
  • Филми
  • RSS
  • OnArt
  • Лични данни
  • Confidentiality
Investor.BG AD © 2001-2025 bgonair.bg All rights reserved.