Много драматични видеа, създадени с изкуствен интелект, се споделят онлайн, докато ураганът "Мелиса" се приближава към Ямайка.
Наблюдаваме десетки такива видеа в TikTok, които са натрупали милиони гледания общо. Търсене за "Hurricane Melissa" в платформата води потребителите към много клипове, генерирани с AI, или стари записи от минали урагани.
Някои от видеата имат водни знаци, които уточняват, че са създадени с AI генератори, като текст-към-видео модела Sora на OpenAI.
Други видеа са премахнали или замъглили водните знаци в явен опит да заблудят зрителите или показват фалшиви репортери и комбинация от кратки клипове, които изглеждат като легитимни репортажи от местни източници.
Жени и акули в наводнените улици
Едно видео, гледано половин милион пъти в TikTok, показва жена на балкон, която снима две акули, плуващи в силно наводнени улици.
В долния ляв ъгъл на клипа се вижда замъглен знак, вероятно воден знак, който е бил скрит. По-късно качващият добавя етикет в описанието, за да посочи, че видеото е създадено с AI.
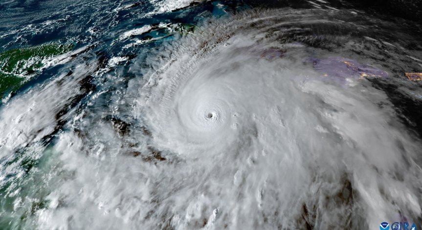
Окото на бурята от самолет
Един драматичен клип, гледан 2,6 милиона пъти, показва това, което изглежда като окото на бурята, заснето от пътнически самолет, летящ наблизо.
"Този момент, когато осъзнаваш, че вихрещите се облаци долу не са просто облаци… те са ураган", гласи надписът.
Но видеото не е реално и е публикувано от потребител, който има история на споделяне на фалшиви клипове за природни бедствия. Клипът изглежда подобен на реални кадри, заснети от екип на резерва на ВВС на САЩ, известен като "Hurricane Hunters", в понеделник.
Мъже бягат от огромна вълна
Друг клип показва група мъже, които се евакуират, докато огромна вълна удря крайбрежието. В долния десен ъгъл е видим малък воден знак VEO, което ясно показва, че видеото е създадено с генератор на текст-към-видео на Google.
Според репортаж на AFP в понеделник, TikTok наскоро е премахнал повече от две дузини AI видеа за урагана. Въпреки това, фалшивите клипове продължават да се разпространяват широко в платформата.
Митът за акулите по време на ураган
Ключова особеност на фалшивите AI кадри за "Hurricane Melissa" е появата на акули, които уж навлизат в населени места във водите от наводненията.
За много наблюдатели на дезинформацията тези клипове предизвикват усещане за дежавю, предаде BBC (Би Би Си).
Мотивът датира поне от преди 14 години, до урагана "Айрийн", когато няколко медийни източника бяха заблудени от фалшива снимка на акула, плуваща по наводнена улица в Пуерто Рико. Това беше преди AI, така че изображението е създадено по старомодния начин чрез комбиниране на две несвързани снимки.
Оттогава "ураганните акули" се появяват онлайн при всяко голямо метеорологично събитие, до такава степен, че вече могат да се считат повече за мем, отколкото за умишлен опит да се заблуди публиката.
Снимка: Reuters
Георгиев: Само за миналата година са 106 присъдите за сексуални посегателства срещу деца
Тихомир Безлов: Големият проблем за политиката в страната ни е, че няма устойчивост
Максимумът на метеорния поток Геминиди за 2025 г. ще настъпи утре
Чрез микропластмасата се разпространяват опасни бактерии
Клиника по неврохирургия в УМБАЛ „Св. Иван Рилски“ отпразнува своята 20-годишнина
Защо се будим малко преди алармата?
Наследствена ли е шизофренията?
На повърхността на луната на Юпитер – Европа, е забелязан гигантски черен „паяк“
Лунната почва може да съдържа следи от земната атмосфера
Антитела, проектирани от изкуствен интелект, ще бъдат тествани на хора
Признаци за бъдеща катастрофа в Антарктида
Идват коледните банкети: Как да се забавляваш, без да рискуваш кариерата си?
До дни ще се родят първите бебета, създадени с помощта на изкуствен интелект
Какви защити имат евробанкнотите и как да разпознаем истинските?
Броят на чужденците в Европа се увеличава, нужни са за работна ръка
Какво вещаят звездите за 2026 година?
Ръководството на лекарския съюз получи мандат да подпише нов рамков договор за 2026-2028 г.
Baidu запълва празнината, която Nvidia остави на пазара на AI чипове в Китай
Cartier е новият Rolex за поколението Z благодарение на Тейлър Суифт
Парижкото споразумение за климата навърши 10 години, но мисията е далеч от изпълнена